VENDIDO
1.010 m²
212 m²
Imágenes



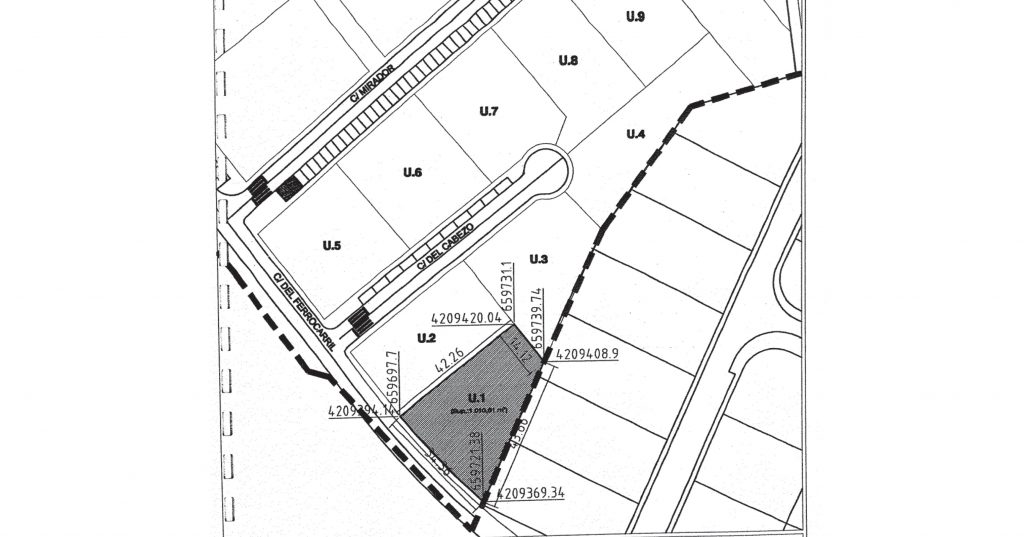
Parcela urbana en Mirador de Agridulce II.
Uso: Vivienda unifamiliar
Superficie de parcela: 1.010,61 m2
Edificabilidad máxima: 212,98 m2 (sobre rasante)
Altura máxima: 2 plantas (7m)
Ubicada en C. del Ferrocarril, en una urbanización tranquila con servicios de restauración, supermercado, guardería, colegio, Universidad de Espinardo y a 5 minutos en coche de la UCAM, club de padel. A dos minutos del centro comercial Myrtea (corte inglés, gimnasio, restauración, cines, zona de ocio) y a 5 minutos del centro comercial La Noria. Junto a la parcela tenemos el acceso a la vía verde para pasear a pie o en bicicleta. Muy bien comunicada, cerca de la parada de tranvía y autobús y a menos dos minutos del acceso a la autovía en todas sus direcciones. Impuestos y honorarios de agencia no incluidos en el precio.
CARACTERÍSTICAS
superficies
Edificabilidad
212,98 m2
S. Parcela
1.010,61 m2
Edificio
Nº Plantas
3
Orientación
Sureste
Acometidas sum.
Luz y agua
ubicación - Servicios
Universidad
Supermercado
Centros comerciales
Seguridad privada
Zonas verdes
Club de pádel
Tranvía
Ubicación
CONTACTO
Contactaré contigo en el plazo máximo de 24 h. para que nos puedas explicar en qué te podemos ayudar. Juntos analizaremos tus necesidades y te asesoraremos sin ningún compromiso. Te presentaremos el presupuesto ajustado y fijaremos un planning de trabajo comprometiéndonos a tener el trabajo acabado en la fecha acordada.
Déjanos tus datos y nosotros nos encargamos de todo.